Este post faz parte da série Franzininho C0 com STM32CubeIDE
Sabia que você pode gravar código na Franzininho C0, uma placa de desenvolvimento de hardware de código aberto baseada no microcontrolador STM32C0, usando a conexão USB/Serial?
Neste tutorial, vamos demonstrar como fazer isso de forma simples usando o STM32CubeProgrammer.
Passo a Passo para gravação
- Instalação do Software STM32CubeProgrammer: Baixe e instale o STM32CubeProgrammer a partir do site oficial da STMicroelectronics. https://www.st.com/en/development-tools/stm32cubeprog.html .
- Drivers USB/Serial: Certifique-se de que os drivers USB/Serial estejam instalados no seu computador. Caso contrário, você pode baixar e instalar o driver CH340.
- Conecte sua placa Franzininho a uma das portas USB de seu computador. Abra o Software STM32CubeProgrammer.
- Coloque sua placa no modo bootloader. Para isso:
- Pressione e segure o botão boot;
- Pressione o botão reset;
- Primeiro solte o botão reset e depois solte o boot.

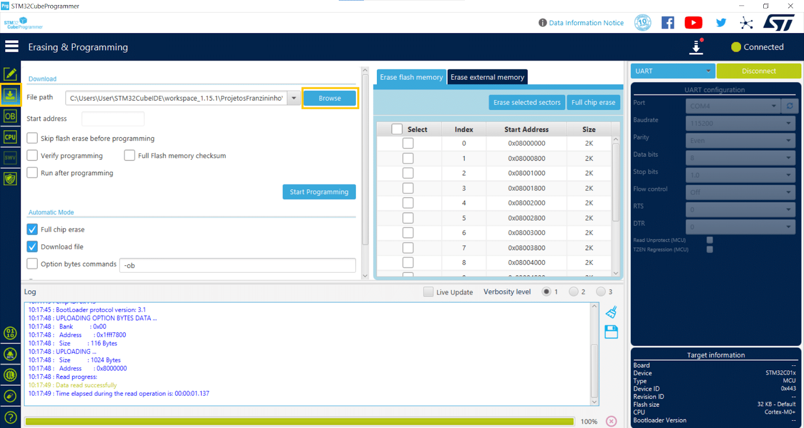
- Com o software aberto, selecione a opção UART. Em seguida, selecione a porta serial correspondente à sua conexão USB/Serial, mantenha o Baudrate em “115200” e a Parity em “Even”
- Conecte ao dispositivo clicando no botão de “Connect”.
- Vá até a aba “Download” e selecione o arquivo binário ou hexadecimal gerado pela IDE que você deseja gravar. Normalmente, esse arquivo está localizado na pasta “Debug” dentro do diretório do seu projeto.
- Clique no botão “Start Programming” para iniciar a gravação do código na placa. Aguarde a mensagem de gravação completa.
Verificação
Após a gravação bem-sucedida, clique no botão “reset” ou desconecte e reconecte a placa para sair do modo de bootloader e verifique se o código está funcionando conforme esperado.
Dicas e Solução de Problemas
- Verifique Conexões: Se a gravação falhar, tente trocar de cabo usb ou desconecte e conecte novamente. Drivers:
- Certifique-se de que os drivers USB/Serial estejam corretamente instalados.
- Modo Bootloader: Garanta que a placa esteja no modo de bootloader ao tentar programá-la.
Conclusão
Com esses passos, você deve ser capaz de gravar código na sua Franzininho C0 via USB/Serial com sucesso.
Saiba Mais
Desbravando todo o potencial do STM32CubeProgrammer
Microcontroladores STM32C0 — 32 bits para soluções de 8 bits







